Descripción
Venta de lote en Don Miguel Barrio Privado, La Barra
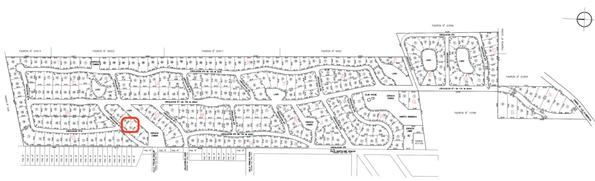
Venta de terreno en Barrio Privado Don Miguel, La Barra
El Terreno consta de 1107 metros cuadrados.
Excelente Ubicación , a cuadras del centro comercial de La Barra y todos los servicios.
DON MIGUEL, un barrio de campo familiar abierto a la amistad y al bienestar. Estratégicamente ubicado a pasitos del corazón de La Barra, donde todo se genera.
Un paisaje soñado con arboles crecidos y espejos de agua. Variedad de bosques con pino, eucalipto, acacia, sauce, ciprés, alamo, etc.
Barrio cerrado compuesto por 277 lotes, con paisajismo para disfrutar.
LA TRANQUILIDAD DEL CAMPO Y LA COMODIDAD DE LA CIUDAD.
Bajo gastos comunes
Capital Real Estate
Características
- Barrio
- La Barra
- Vista
- Agradable Entorno
- Distancia al Mar
- 0
- Superficie m2
- 1107
- Frente mts
- 0
- Fondo mts
- 0
- Lateral mts
- 0
- Edificable m2
- 0
- Luz
- Si
- Agua
- Si
- FOT
- 0
- Cantidad Pisos
- 0



Sierra 